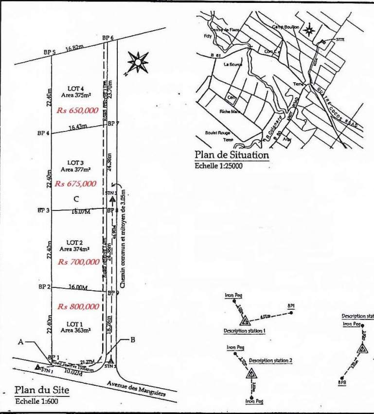
4 residential lots for sale in Nehru Nagar,Flacq
4 lots of Residential land for sale in Nehru Nagar, Flacq.
These residential lands is located in a nice and calm area in Nehru Nagar,Flacq.
Lots available and pricelist hereafter:
Lot 1 : Rs 850,000
Lot 2: Rs 700,000
Lot 3: Rs 675,000
Lot
Rs 650,000
| Product information | ||
|---|---|---|
| Category | Land | |
| Item condition | Used | |
| Payment type |
Cash Online banking |
|
| Date added | 05-11-2018 | |
| Seller details | ||
|---|---|---|
| Username | Rubina | |
| This Real Estate has been sold! Phone number not available.. |
||
| Address | / | |
| Regions where product is available | ||
|---|---|---|
| Available in |
Port Louis Beau Bassin - Rose Hill Vacoas - Phoenix Quatre Bornes Curepipe North East West South Moka |
|








