#SOLD
#Land #Residential
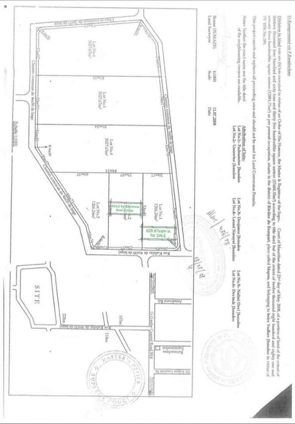
14.90 perches (lot 1) residential land is for sale at Kalidas Street, Roche Terre @ Rs 950,000.
Around 300 meters walking distance from Royal Road, with paved road access, plot has electricity service only.
The area are being d
Rs 950,000
| Product information | ||
|---|---|---|
| Category | Land | |
| Item condition | New | |
| Payment type |
Cash |
|
| Date added | 28-06-2019 | |
| Shop details | |||||
|---|---|---|---|---|---|
| Phone Number |
|
||||
| Shop Address | Bhatoolall Street Roche Terre, Mauritius | ||||
| Regions where product is available | ||
|---|---|---|
| Available in |
North |
|





